Befund:
H
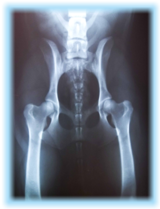
D A
ED - frei
OCD frei
PRA - frei (über Erbgang)
NAD - frei ( über Erbgang)
Interpretation: Der untersichte Hund ist reinerbig
für das intakte Gen.
Archiv 16-17
Gesundheit
Ausstellungen
Stammbaum
Gesundheit
Ausstellungen
Stammbaum
Stammbaum
Baku
Pito
A-Wurf
B-Wurf
C-Wurf
D-Wurf